You are on eastlansinginfo.org, ELi's old domain, which is now an archive of news (as of early April, 2020). If you are looking for the latest news, go to eastlansinginfo.news and update your bookmarks accordingly!
You are on eastlansinginfo.org, ELi's old domain, which is now an archive of news (as of early April, 2020). If you are looking for the latest news, go to eastlansinginfo.news and update your bookmarks accordingly!

A team seeking to redevelop a publicly-owned piece of land has provided East Lansing’s Planning Commission with more details about its plans for the property. Developers say they want to minimize negative impact to neighbors with the project, which would include a Holiday Inn Express (rendered above), a “high quality” marijuana operation, and a small strip mall (below).

The property on Merritt Road, near the East Lansing Costco store, is the former site of the Department of Public Works (DPW). An offer of sale on the property was put on eBay by Planning Director Tim Dempsey in January of this year, with no other public announcement and little transparency since.
Only a handful of individuals were told it was up for auction. The City Manager and Council have not answered repeated questions from ELi about why the City went about the sale in a way that may have obtained less than top dollar.

Through the eBay auction, a representative of a company called Kodiak Landarc LLC won the right to enter into a purchase agreement for the property by bidding $1,000,900. If the City Council doesn’t approve what the company wants to build, that agreement can be cancelled.
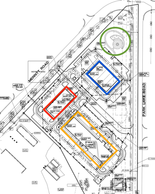
In the image below, the hotel location is outlined in yellow-orange, the retail space in blue, the provisioning center in red, and a seating area with art in green.

More details on the site plan and marijuana operation emerge
As ELi reported, last month the East Lansing Planning Commission reviewed the plans for a four-story Holiday Inn Express with 107 guest rooms (rendered below), about 8,700 square feet of space for retail, and a 7,000-square-foot medical marijuana provisioning center.

While Commissioners largely responded positively to the site plan, they requested additional information and asked for more bicycle parking to be included. Now, the applicant has submitted a revised site plan which includes bicycle racks in three locations on the property that each can hold 6-8 bicycles.
Planning Commission had also asked for more information about who would operate the provisioning center (rendered below). According to a letter from the project’s attorney, Mike Bahoura of Troy, Michigan, EVO Pharms, LLC, will operate the provisioning center and is “owned entirely by Mr. Raad Kello.”

As ELi previously reported, Kodiak Landarc will be a holding company for the property. Parties other than Kodiak or EVO will manage the retail and hotel aspects of the property.
EVO is prequalified by the Michigan Medical Marihuana Licensing Board. According to a facility plan provided by the applicants, plans to “dispense a complete line of high quality, diverse and consistently dosed medicinal marihuana products” to their patients.
According to the staffing plan provided by EVO, there will be 15-24 full-time employees with starting pay of $16/hour. Senior staff includes the CEO, an accountant/bookkeeper, a general manager, a maintenance manager and a compliance manager. The latter will coordinate compliance with the Michigan Medical Marihuana Program and educate employees on compliance and regulation. Patient care specialists will “dispense Medical Marihuana Products”. (The provisioning center is rendered in the images below.)

Applicants consider security needs and the neighborhood’s setting
For security at the provisioning center, EVO plans a number of physical security considerations, including cameras, alarms, and an on-site security guard. There would also be solar panels and a backup generator “to ensure that any loss of power will only be momentary.” According to their plan, surveillance data would be stored for at least 28 days and be accessible to LARA and police.
EVO also provided a “Neighborhood Compatibility Plan,” highlighting what they view as the facility’s aesthetic and operational compatibility with the area, citing a “discrete and tasteful” signage and a policy to prohibit loitering.
The applicants also included statements of sidewalk security to “monitor cleanliness and loitering” and the intention to manage noise and odors. They say they are open to feedback from the community.

The applicant provided an agreement with East Lansing-based artist Dane Porter, who would be commissioned to create the public sculpture for the northern tip of the property designated as a green space with seating. The agreement is between Porter at Bloomfield Hills-based MHS Group, represented by Jeff Yatooma. (Yatooma was also Kodiak Landarc’s representative on the Purchase Agreement for the land.)

There continues to be no discussion of environmental cleanup on the property, even though the City has said that a previous party interested in purchasing the land found it would require millions of dollars in cleanup. The property is listed at the Michigan DEQ site as having environmental problems.
The plan won’t move to City Council just yet
At the June 12 meeting, Planning Commissioner Dale Downes was ready to move that the Commission recommend City Council approve the plans.
But East Lansing Planning & Zoning Administrator David Haywood said no action can be taken until the Planning Commission obtains a recommendation from the Transportation Commission on the project’s traffic study.
Transportation Commission met on this project last night. Thomas Baumann, Chair of the Transportation Commission, told ELi this morning that the Commission is recommending Council follow the recommendations from transportation consultant DLZ, hired to do a third-party review. (See the material in yesterday’s agenda.)
According to Baumann, “The commission also noted the lack of pedestrian facilities in the site plan, both on the development and on adjacent streets and recommends applying existing city ordinances to have sidewalks where required.”
East Lansing Design Engineer Andrew Bisaha told ELi this morning that the Commission “recommended that sidewalks be added to the plan, at least along the frontages of Merritt Road and Park Lake Road. They also discussed bike rack location(s) being reconsidered when the sidewalk locations are set.”
Planning Commission is expected to vote June 26 whether to recommend this project for approval by City Council. A public hearing will then be scheduled by City Council.
Want to weigh in? You can speak at any Planning Commission meeting during public comment or write to the Commission via David Haywood’s address. You can also speak at City Council during public comment or write to them via email.
For this ELi report, Alice Dreger contributed reporting on the Transportation Commission's recommendations and on the purchase agreement's provisions.
eastlansinginfo.org © 2013-2020 East Lansing Info