You are on eastlansinginfo.org, ELi's old domain, which is now an archive of news (as of early April, 2020). If you are looking for the latest news, go to eastlansinginfo.news and update your bookmarks accordingly!
You are on eastlansinginfo.org, ELi's old domain, which is now an archive of news (as of early April, 2020). If you are looking for the latest news, go to eastlansinginfo.news and update your bookmarks accordingly!

Above: The site as it currently looks.
Remember that million-dollar property the City of East Lansing put up for bid on eBay, notifying only “approximately twelve interested parties”? The purchasers’ site plan and special use permit application have now come to the Planning Commission, and there are a couple of surprises.
One is that the applicants, working under the name Kodiak Landarc, LLC, are proposing to build not just a marijuana provisioning center but also a Holiday Inn Express hotel and a retail strip-mall.
The other is that the applicants make virtually no mention of need for environmental cleanup. The City had cited the need for millions of dollars in environmental cleanup costs as the reason a potential buyer had walked away in 2016.
Key questions on this public land sale continue unanswered
The property, on Merritt Road near the East Lansing Costco store, is the former site of the Department of Public Works (DPW), and is marked below in red. An offer of sale on the property was put on eBay by Planning Director Tim Dempsey early this year, with no other public announcement and little transparency since.

While Mayor Meadows has since indicated in an email to Public Response that he “regret[s] that the City did not advertise the eBay auction at Council meetings,” the Mayor, Council, and City Manager have yet to provide information on how the City decided whom to notify – and whom not to notify – of the unusual month-long auction of public property.
As ELi has reported, the property was of significant interest to marijuana industry players, once Council had indicated it could be available for use as a provisioning center. The City has said it decided to put the property up for bids “recognizing this renewed demand” for the property and the possibility of a bidding war.
ELi has been asking and getting no answers about what really happened here. At the April 23 meeting of City Council, ELi’s Publisher Alice Dreger asked the following during the public comment period:
If the goal of the eBay land sale of the Merritt Road property was to maximize income for the taxpayer, why wasn’t the sale widely advertised by the city, at least on its website and in a press release? And if the goal wasn’t to maximize income to the taxpayer, what was the goal, and who set that goal?
Meadows moved on to the next agenda item without answering or instructing staff to answer.
Now, the plans for developing the property are proceeding, with a site plan and special use permit application for the provisioning center beginning review with the East Lansing Planning Commission. According to the Purchase Agreement approved by Council and signed by Meadows and Kodiak Landarc representative Jeff Yatooma, if Council doesn’t ultimately approve what the applicants want to do, the applicants can walk away.
Current site plan shows some details about intent
Kodiak Landarc has submitted a site plan for three buildings on the Merritt Road property: a medical marijuana provisioning center, a hotel, and a retail strip mall. There will also be a green space with a sculpture and a sitting area at the northern point of the property at the intersection of Merritt Road and Park Lake Road. The image below shows the property as it currently exists:

The redevelopment is set to have two driveways, one on Merritt Road and one on Park Lake Road, that approximately cut the property in half. The Park Lake Road entrance is set to be immediately across from an access driveway for Costco, which project engineer Andy Andre says is meant to reduce “any turning conflicts.”
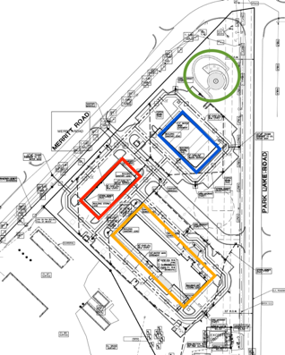
The image below, taken from the site plan, is annotated by ELi:

According to a report from City Staff, the provisioning center, outlined above in red, is planned to be one story with 7,000 square feet of space and no windows. The proposed hours of operation are from 8 a.m. to 9 p.m.
The project’s attorney, Mike Bahoura of Troy, Michigan, assured the Planning Commission last night that the applicant for the provisioning center, listed on the application as EVO Pharms, was prequalified with the State of Michigan, had passed financial and criminal background checks, and otherwise meets all State requirements.
Bahoura said “another entity” will manage the retail and hotel, with Kodiak Landarc acting as “a holding company” using a commercial condo type of arrangement.
The public sculpture with seating and a green space is located at the northern tip of the property, circled above in green. Andre said this location was chosen for this because it was “the most high-profile location” of the property. He said that Kodiak Landarc is currently in talks with the East Lansing Arts Commission, and has chosen East Lansing-based artist Dane Porter to create the piece.
The hotel, outlined in orange, is designed to be four-story Holiday Inn Express with 107 hotel rooms. All amenities and office space, as well as some hotel rooms, will be on the first floor. The remaining three floors will be exclusively hotel rooms. The rendering provided shows this:

Finally, the retail space, outlined in blue, will be divided into five individual spaces including one for a restaurant with a drive-through window and another for a “conventional” restaurant. Andre said no tenants are secured at this point, but they are in talks with some “national tenants” and are confident at least one will lease a space.
Planning Commission Vice Chair Kathy Boyle pointed out that the retail building plan only includes a single unisex bathroom, which she and Senior Planner Darcy Schmitt agreed would not be sufficient. However, Andre clarified that the retail space is meant to be a “shell-type construction” that would be customized for each tenant.
Commissioner Chris Wolf requested that updated plans include details about bicycle racks, since the version presented last night did not have that, as required. Andre said there was space for bike racks in the hotel design and that they were willing to include bicycle parking at the other two buildings.
Otherwise, Commissioner Wolf praised this plan, saying it was “refreshing” to see a plan with something like a hotel and retail along with a provisioning center to acknowledge that provisioning centers “can be part of a retail commercial area.” Wolf wondered aloud if the applicants anticipated resistance to being so close to a provisioning center.
Bahoura answered that, in his experience, retail operators see provisioning centers much like grocery stores in driving a high volume of traffic to an area. He said that business neighbors find provisioning centers to be “well-funded, professional operations.”
Bahoura also said that “quite frankly, without a provisioning center, this project probably doesn’t work and the property would still sit vacant.”
The site plan now goes to the Transportation Commission for review and will later return to the Planning Commission.
Want to weigh in? Comments for Planning Commission can be presented orally at the public comment portion of the Commission's meetings or sent to the Planning Commission via email to Planning staff David Haywood. Comments to City Council (which makes the ultimate decisions) can be presented orally during public comment at Council meetings or sent via email to the whole Council.
eastlansinginfo.org © 2013-2020 East Lansing Info